NOAA Hurricane Tracking: Radar & Satellite Explained

V.Orbital 127 views
NOAA Hurricane Tracking: Radar & Satellite Explained

NOAA Hurricane Tracking: Radar & Satellite Explained

Hey there, weather enthusiasts! Ever wondered how the NOAA Hurricane Center keeps tabs on those swirling behemoths we call hurricanes? Well, buckle up, because we’re diving deep into the world of NOAA hurricane tracking , exploring the amazing technologies – primarily radar and satellite imagery – that help meteorologists predict their paths, intensities, and potential impacts. Knowing about NOAA’s tools can make you feel more confident about weather and disaster preparedness, so let’s get started!

Decoding the Power of NOAA Hurricane Radar

Alright, let’s talk about NOAA hurricane radar . It’s a key part of how the Hurricane Center monitors these storms. Imagine radar as a super-powered flashlight, but instead of light, it uses radio waves. These waves are beamed out, and when they hit something, like raindrops, they bounce back. The radar then picks up these returning signals, giving meteorologists valuable information. But what exactly can NOAA hurricane radar tell us? Lots, actually!

First off, radar helps pinpoint the hurricane’s location and track. By constantly scanning, radar can show the storm’s position in real-time. This is super important for issuing timely warnings. Secondly, radar is a pro at estimating rainfall rates. The stronger the signal return, the heavier the rain. This data helps predict potential flooding, which is often a major hazard. Radar can also provide insight into the storm’s structure. By analyzing how the radar signals are reflected, meteorologists can see the organization of the storm, including the eye, eyewall, and rainbands. This helps determine the hurricane’s intensity and whether it’s strengthening or weakening. Also, radar can sometimes detect the storm surge. The radar can bounce off the ocean surface to measure the height of the waves.

But that’s not all! The data provided by radar is incredibly useful for issuing watches and warnings. For instance, if radar shows that the eyewall is nearing a populated area, authorities can issue warnings, so people have time to prepare. Radar also plays a role in aviation. Radar provides important information about the location and intensity of the storms and can provide information for air traffic control. Plus, radar helps meteorologists to improve their forecast models. Radar data is fed into computer models that predict the hurricane’s future track and intensity, making them more accurate. Essentially, radar provides a detailed, real-time look at a hurricane, allowing the NOAA Hurricane Center to protect lives and property. Cool, huh?

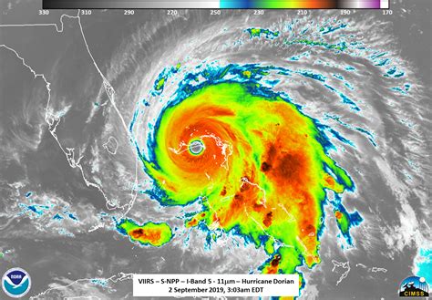
Unveiling the Role of NOAA Hurricane Satellites

Now, let’s switch gears and talk about NOAA hurricane satellites . If radar is a flashlight, satellites are like a bird’s-eye view from way up high. Satellites offer a massive perspective, covering vast areas, so they’re essential for tracking hurricanes across oceans, where radar coverage might be limited. But how do they work, and what kind of info do they provide?

There are several types of satellites, each with its unique capabilities. Geostationary satellites, like GOES, orbit the Earth at the same rate as the planet rotates, giving them a constant view of a specific area. These are great for continuously monitoring storms and watching their movement. Polar-orbiting satellites, on the other hand, travel in a north-south orbit, passing over different parts of the Earth. These satellites often carry advanced instruments, providing detailed data on things like cloud top temperatures and wind speeds.

So, what do satellites actually see? Well, they can do a bunch of things! They provide images that help determine the hurricane’s location. By examining the cloud patterns, satellites can pinpoint the center of the storm and track its movement. Satellites also help estimate the intensity of the hurricane. By analyzing the temperatures of the cloud tops and the patterns of the clouds, meteorologists can gauge how strong a storm is. Moreover, satellites can provide information on wind speeds. Certain instruments measure the energy emitted by the Earth’s surface, which can then be used to estimate wind speeds. The other function is providing information on the rainfall rates. Satellites can measure the amount of water vapor in the atmosphere, which is related to rainfall. They can also show data on the storm’s structure. Satellites can map the cloud patterns and see the structure of the storm, including the eye, eyewall, and rainbands. Like radar, this is very important for warnings and forecasts.

Basically, satellites give a global view of a hurricane and provide crucial data on its location, intensity, and structure. And that is why they are really important for forecasters to create forecasts.

The Synergy: Radar and Satellite Working Together

Here’s where it gets interesting! Radar and satellite aren’t just separate tools; they work together, and the NOAA Hurricane Center combines data from both. Think of it like a team effort, where each team member brings unique skills to the table.

Radar excels at providing detailed, high-resolution data over a smaller area. It’s like having a close-up view. Satellite data, on the other hand, provides a wider perspective, covering large areas. It’s like having a panoramic view. Together, they create a complete picture of the hurricane. The NOAA Hurricane Center uses a process called data fusion, where information from both sources is combined and analyzed. The combination of data allows meteorologists to create more accurate forecasts. They can use the radar data to get a detailed view of the storm structure and combine that with the large-scale view from the satellite, which provides information about the storm’s overall environment. Radar provides details that satellites sometimes miss, and satellites fill in the gaps where radar coverage is limited. The combination is how we get the most accurate forecasts.

For example, radar might show the exact location of the eyewall and the intensity of the rain bands. At the same time, satellite data might show the hurricane’s overall size and its movement. All this combined data goes into computer models. These models predict the hurricane’s future track and intensity, helping forecasters to know how the storm will change in the next few days. The synergy between radar and satellite is what makes NOAA’s forecasting so effective. They complement each other, giving forecasters a more complete picture of what’s happening. And, for the public, this means more accurate warnings and better preparedness.

Future of Hurricane Tracking: Advancements and Innovations

The story doesn’t end here, folks! The field of hurricane tracking is constantly evolving. The NOAA Hurricane Center is always working on new and innovative ways to improve forecasting. Let’s peek into the future and see what’s coming.

One of the biggest areas of advancement is in satellite technology. Scientists are developing new satellites with more sophisticated sensors. They’ll be able to gather even more detailed information on hurricanes, including wind speeds, rainfall rates, and cloud characteristics. The technology of radar is always improving, too. Newer radars are being designed with increased sensitivity and more advanced algorithms. These radars will be better at detecting weak signals and providing higher-resolution data. The more data that the forecasters can gather, the more accurate the forecast. Plus, there is also the increasing computing power. Computer models are becoming more complex. They incorporate more data from radar, satellites, and other sources. This leads to more accurate and reliable forecasts. And finally, there are enhanced communication methods. NOAA is improving the way they communicate warnings to the public. They are exploring new ways to reach people, using social media, mobile apps, and other communication channels. This includes faster, more efficient ways of getting information to the people in the path of the storm.

Ultimately, the future of hurricane tracking promises even better forecasts, allowing people to be more prepared and safe when a hurricane threatens. The goal is to provide timely and accurate warnings, giving people the time they need to protect themselves and their property. The innovation is a continual process, and the NOAA will keep improving the methods to improve the safety of the public.

Preparing for the Storm: How to Use NOAA Information

Okay, so we’ve talked about all this cool technology. But how does it help you ? It’s all about being prepared . The NOAA Hurricane Center’s information isn’t just for scientists; it’s for everyone. Here’s how you can make the most of it.

First, stay informed! Regularly check the NOAA Hurricane Center’s website and social media channels. They provide the latest forecasts, warnings, and advisories. Also, be aware of the official terms: a hurricane watch means a hurricane is possible within 48 hours, and a hurricane warning means a hurricane is expected within 36 hours. Second, create a preparedness kit. Include supplies like water, non-perishable food, a first-aid kit, a flashlight, batteries, and a weather radio. You’ll need these if you lose power or are stuck at home during a storm. Also, learn about evacuation zones. If you live in a coastal area, find out if you’re in an evacuation zone and know the evacuation routes. The other important part is reviewing your insurance policies. Make sure your home and belongings are properly insured for hurricane damage. And finally, if a hurricane watch or warning is issued for your area, take action. Follow the instructions of local authorities, and be ready to evacuate if necessary. Planning ahead and staying informed can make a real difference in keeping you and your family safe.

Conclusion: Staying Ahead of the Storm

So, there you have it, folks! From the powerful gaze of NOAA hurricane radar to the wide-angle view from NOAA hurricane satellites , these technologies work hand in hand to track and understand hurricanes. By understanding how the NOAA Hurricane Center uses these tools, you can better prepare for hurricane season and stay safe. Remember to stay informed, create a plan, and be ready to act when a storm threatens. Stay safe out there, and thanks for reading!